皇冠体育

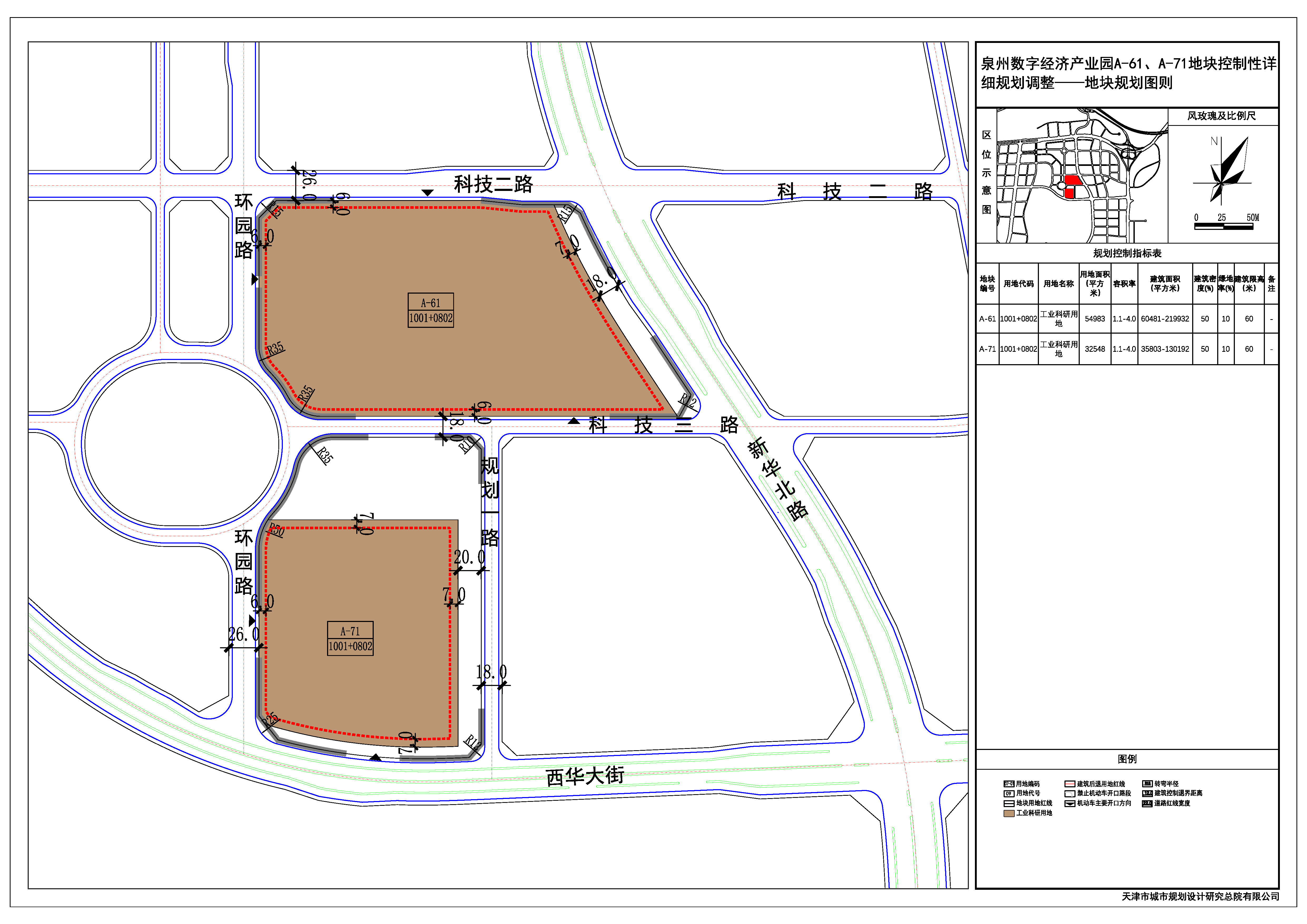
皇冠体育控制性详细规划调整公告
时间:2025-12-30 16:40 浏览量:

扫一扫在手机上查看当前页面

时间因子转换镜像 - 蚪侠镜像站群 皇冠体育-皇冠体育博彩 泛镜像站群 小偷程序 蚂蚁超级镜像 - 整站镜像下载 足球外围平台推荐 IM体育 世界杯下注 澳门金沙博彩官网 世界杯买球